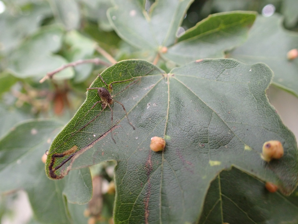
Summary details for Paroligolophus agrestis (Meade, 1855)

Species Details

Species name
Paroligolophus agrestis (Meade, 1855)
Synonyms
Paroligolophus ephippiger Simon, 1879, Oligolophus agrestis Pickard-Cambridge, 1890, Oligolophus ephippiger Simon, 1879, Opilio agrestis Meade, 1855, Paroligolophus agrestis Spoek, 1963
Taxonomy
Animalia :: Opiliones :: Phalangiidae

Distribution



Paroligolophus agrestis was first described by Meade (1855) from British material. It occurs throughout the British Isles and is very common, extending north to the Hebrides and Orkney, but not Shetland.

Its European range includes northern Spain, France, Luxembourg, Belgium, the Netherlands, Poland, Germany, Denmark, Norway and Sweden. It has also been introduced into North America with records from Washington State and British Columbia (Bragg & Holmberg 1975).

Habitat and ecology



Hillyard (2005) considered this to be the most common and abundant species of harvestman in the British Isles, although in the HRS records it now ranks 2nd behind Mitopus morio. It occurs in a wide range of habitats from coastal dunes, grassland, woodland, hedgerow, parkland and heathland up to an altitude of 460m. It has been found up to 1300m in the Cantabrian Mountains in Spain (Martens 1978).

Throughout its adult phase, this short-legged species is able to utilise not only the ground layer vegetation but also the tree canopy. Like the other short-legged dendrophile, O. hanseni, it leads a bit of a 'snakes & ladders' life, regularly falling off or being blown out of the higher layers and climbing back up.

Adult males are present from late June early July and eggs are laid in late summer and through the autumn, hatching during the spring. The adults are often seen taking a Christmas holiday walk (even on snow) and can persist through to March. Hillyard (2005) notes that juveniles can persist until September. Curtis (1978) lists adult P. agrestis as being present in all months of the year but with most activity in June and October/November.

Acosta & Machado (in Pinto-da-Rocha et al. 2007) list a wide range of items which P. agrestis has been recorded as eating, including: springtails, aphids, fly and lepidopteran larvae, ants, woodlice, snails and bird droppings.

Status



Very common and widespread.

Text based on: Hillyard, P. D. 2005. Harvestmen: keys and notes for the identification of British species. Synopses of the British Fauna 4 (3rd edn). Field Studies Council, Shrewsbury.



References



Bragg, P. D. & Holmberg, R. G. 1975. Platybunus triangularis and Paroligolophus agrestis: two phalangids introduced to North America. Journal of Arachnology ### 2: 127.

Curtis, D. J. 1978. Community parameters of the ground layer araneid-opilionid taxocene of a Scottish island. Symposium of the. Zoological Society of London ### 42: 149-159.

Martens, J. 1978. Spinnentiere, Arachnida: Weberknechte, Opiliones. Die Tierwelt Deutschlands ### 64: 1-464. Fischer Verlag, Jena.

Meade R. H. 1855. XXXV. Monograph on the British species of Phalangiidae or Harvestmen. Annals & Magazine of Natural History 2nd Series ### 15: 393-416.

Pinto-da-Rocha, R., Machado, G & Giribet, G. (eds). 2007. Harvestmen: the biology of Opiliones. Harvard University Press, Cambridge MA

Stats

First recorded
1878
Last recorded
2026
Total records
9,655
Total visits
9,112

Spatial distribution - hectad map

Click on one of the date ranges in the key to highlight that particular range. Click anywhere else on the map to go back to all three date ranges.
Thresholds:
Move mouse cursor over dot for info
Rejected records are excluded from this map. Unverified records are included.

Temporal distribution - records by year

Records that span more than one year are not included in this chart.

Temporal distribution - records by week